“Metronun “28 May” stansiyasının yaxınlığında HUB hazır olduqdan sonra Azadlıq prospektində hərəkət yenidən təşkil olunacaq”.
“Qafqazinfo” xəbər verir ki, bu barədə Azərbaycan Yerüstü Nəqliyyat Agentliyinin (AYNA) Bakı regional idarəsinin müdiri Tərlan Səfərov yeni layihələrlə bağlı ictimai dinləmədə deyib.
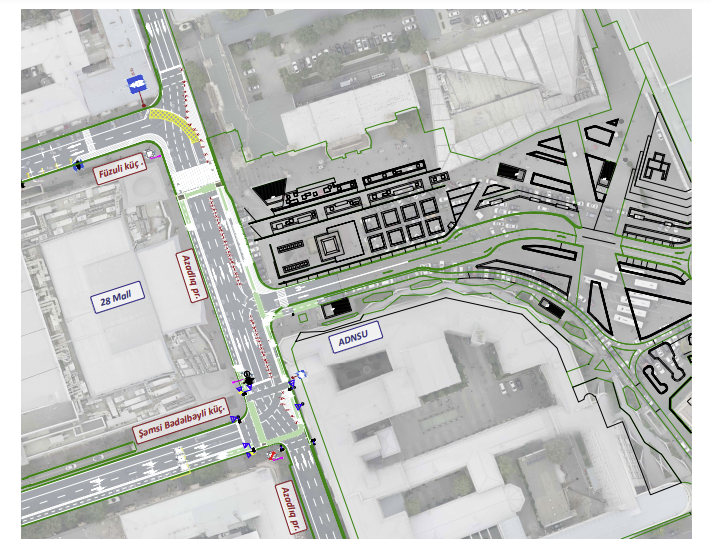
O bildirib ki, agentlik tərəfindən Azadlıq prospektinin Füzuli küçəsi ilə Şəmsi Bədəlbəyli küçəsinin kəsişməsi arasında olan hissəsində hərəkətin təşkilinə dair təklif layihəsi hazırlanıb: “Bu çərçivədə Şəmsi Bədəlbəyli küçəsində mövcud hərəkət zolaqlarının ölçülərini standartlara uyğunlaşdırmaqla Elman Babaxanov (Süleyman Rüstəm) küçəsi ilə kəsişmədən Azadlıq prospektinədək hissədə, sol tərəfdə xüsusi hərəkət zolağının təşkili nəzərdə tutulur. Bundan başqa, Azadlıq prospektinin Füzuli küçəsi ilə Şəmsi Bədəlbəyli küçələrinin kəsişməsi arasında olan hissəsində mövcud hərəkət istiqamətinə əks istiqamətdə olmaqla xüsusi hərəkət zolaqlarının təşkili də planlaşdırılır”.
T. Səfərov əlavə edib ki, bununla da Şəmsi Bədəlbəyli küçəsində sol tərəfdə xüsusi hərəkət zolağından Azadlıq prospektində əks istiqamətdə təşkil ediləcək xüsusi hərəkət zolağı vasitəsilə HUB-a və Füzuli küçəsinə, eləcə də HUB-dan Füzuli küçəsinə avtobusların birbaşa hərəkəti təmin ediləcək: “Şəhərdə mobilliyin transformasiyası proqramında əsas prinsiplərdən biri nəqliyyatın və piyadaların hərəkət təhlükəsizliyinin təmin edilməsidir. Bu məqsədlə Azadlıq prospektinin Füzuli və Şəmsi Bədəlbəyli küçələri ilə kəsişməsində hərəkət işıqfor vasitəsilə nizamlanacaq.
Eyni zamanda, Azadlıq prospekti və Şəmsi Bədəlbəyli küçəsindəki mövcud mikromobillik zolaqlarının “28 May” metrostansiyası ətrafında yaradılacaq HUB daxilindəki mikromobillik yolları ilə əlaqələndirilməsi və mikromobillik vasitələri üçün yeni parklanma yerləri təşkil ediləcək”.
Qeyd edək ki, təklif olunan simulyasiya da edilib. Həmin videonu təqdim edirik:
Lamiyə Məmmədova



Son xəbərlər
Son Xəbərlər